

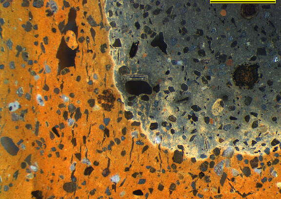
BNAP-A-8, M 10/34, 25x


BNAP-A-8, M 10/34, 16x


BNAP-A-8, M 10/34, 8x
fabric description | object data | archaeometry |
fabric type | BNAP-A-8 |
---|---|
ware | Transport Amphorae |
supposed site of production | Bay of Naples |
visual excamination of fresh break | reddish yellow, core: dark gray, granular; numerous fine to medium-sized white particles, some medium-sized to large dark brown inclusions, mica |
colour of freshly broken section (munsell) | 5YR6/8, core: 7.5YR 4/0 |
texture of freshly broken surface | granular |
hardness | hard |
porosity | 7.5%; void form: channel; vughy; void length: 0.025-0.5 |
inclusions | 20%, length: 0.025-0.875 |
sorting | unsorted |
Inclusions |
|
quartz | frequent, angular, subspherical, white, 0.025-0.875 |
mica | infrequent, angular, spherical, white, 0.025-0.25 |
calciumcarbonate | frequent, rounded, spherical, white, 0.025-0.625 |
carbonate pseudomorphoses | infrequent, rounded, spherical, white, 0.025-0.05 |
reddish inclusions | infrequent, subrounded, subspherical, rust coloured, 0.025-0.5 |
black inclusions | frequent, very angular, subelongate - subspherical, black, 0.025-0.5 |
more inclusions2 | infrequent, very angular, subelongate - subspherical, light green, 0.025-0.375 |
Cite this page as: FACEM - http://facem.at/m-10-34